Stellungnahme - 25-26569-01
Grunddaten
- Betreff:
-
Verantwortlichkeiten für die Regenwasserentwässerung von Mascherode
- Status:
- öffentlich (Vorlage freigegeben)
- Vorlageart:
- Stellungnahme
- Federführend:
- 0660 Referat Stadtentwässerung und Abfallwirtschaft
- Beteiligt:
- 0100 Steuerungsdienst; 0103 Referat Bezirksgeschäftsstellen; DEZERNAT III Stadtplanungs-, Verkehrs-, Tiefbau- und Baudezernat; 06 Baurecht, Stadtbild, Stadtentwässerung und Abfallwirtschaft; 0600 Baureferat; 68 Fachbereich Umwelt
- Verantwortlich:
- Kügler
Beratungsfolge
| Status | Datum | Gremium | Beschluss | NA |
|---|---|---|---|---|
|
●
Erledigt
|
|
Stadtbezirksrat im Stadtbezirk 212 Südstadt-Rautheim-Mascherode
|
zur Kenntnis
|
|
|
|
18.11.2025
|
Sachverhalt
Sachverhalt:
Zur Anfrage der SPD-Fraktion im Stadtbezirk 212 vom 24. September 2025 nimmt die Verwaltung nach Rücksprache mit der Stadtentwässerung Braunschweig GmbH (SE|BS) wie folgt Stellung:
Zu 1.)
Das Regenwasserkanalsystem in Mascherode besteht aus drei Einzugsgebieten (EZG) (Abbildung 1).
Im Süden gibt es ein sehr kleines EZG 1, das nur aus zwei Straßen besteht (Heinz-Waaske-Weg und Hans-Scholkemeier-Weg). Das EZG entwässert über das Regenrückhaltebecken (RRB) RRB D gedrosselt in einen Graben und hierüber weiter in den Landwehrgraben am östlichen Rand Richtung Wabe. Die zugehörigen Einleitstellen sind O106 und O107. Abbildung 1 zeigt das EZG 1 blau hinterlegt.
Die Entwässerung des restlichen Bereichs Mascherodes erfolgt über zwei deutlich größere EZG. Das in Abb. 1 rot hinterlegte EZG 2 hat ein RRB, in dem das Regenwasser gedrosselt wird, bevor es innerhalb des EZGs weitergeleitet wird. An der westlichen Ortsgrenze Mascherodes fließt das Wasser des EZGs über einen Graben Richtung Springbach, über den es im weiteren Verlauf der Oker zufließt. Die zugehörige Einleitstelle in den Springbach ist O102.
Das in Abb. 1 grün hinterlegte EZG 3 ist das größte EZG Mascherodes. Es hat zwei RRBs. Aus dem Norden fließt der Straßengraben des Mönchewegs in das EZG 3. Das zufließende Wasser wird im RRB B gedrosselt. Die zugehörige Einleitstelle ist O101 und entwässert ebenfalls über einen Graben Richtung Springbach und weiter in die Oker.
Es gibt in Mascherode keine Regenwasserpumpwerke aber insgesamt vier RRBs (A-D).
Die EZG 2 und 3 entwässern in zwei Straßenseitengräben entlang der Stöckheimstraße. Beide Straßenseitengräben sind über einen Durchlass in Höhe des Knicks der Stöckheimstraße verbunden. Das Wasser wird von da an zum größten Teil über den nördlichen Graben zum Springbach geleitet.

Abbildung 1: Einzugsgebiete im Bereich Mascherode
Zu 2.)
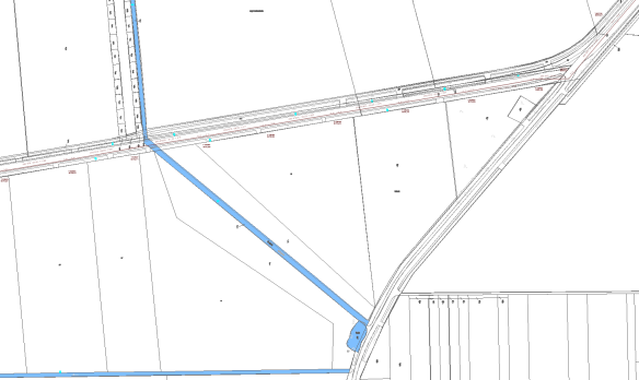
Die SE|BS unterhält die vorgenannten 4 Regenrückhaltebecken in Mascherode. Der nördliche Straßenseitengraben an der westlichen Ortsgrenze (vgl. Abbildung 2, Stöckheimstraße) liegt bis zur Einmündung in den Springbach in der Unterhaltungspflicht der Straßenmeisterei Schöppenstedt, der südliche Straßenseitengraben bei der Stadt Braunschweig (FB 66).

Abbildung 2: Lage der Einleitstellen O101 und O102 und der Regenwasserkanäle im Bereich der Stöckheimstraße
Die SE|BS unterhält erst ab der Einmündung des Seitengrabens der Stöckheimstraße den weiteren Verlauf des Springbachs (Vgl. Abb. 3).
Darüber hinaus gibt es am Springbach einen Kontrollpunkt im Bereich der Brücke Jägersruh. Bei den regelmäßigen Kontrollen konnten hier keine Auffälligkeiten festgestellt werden, die die hydraulische Leistungsfähigkeit des Springbachs in besonderem Maße einschränken.
Nach Rücksprache mit der Straßenmeisterei Schöppenstedt erfolgt eine regelmäßige Prüfung des Bereichs.
Die Verwaltung geht davon aus, dass nicht der von der SE|BS zu unterhaltene Springbach ursächlich für die beschriebenen Entwässerungsprobleme ist, sondern diese eher bei den Straßenseitengräben an der Stöckheimstraße zu suchen sind.
Die Untere Wasserbehörde (UWB) hat im Rahmen der Gewässeraufsicht über den Umfang der notwendigen Unterhaltungsarbeiten der Gewässer zu entscheiden und bei Bedarf Maßnahmen anzuordnen, wenn der Unterhaltungspflichtige seinen Aufgaben nicht nachkommt, oder wenn Unklarheit herrscht, in welchem Umfang eine Unterhaltung notwendig ist. Wenn - wie hier - naturschutzrechtliche Fragestellungen berührt sind, erfolgt eine Abstimmung mit der zuständigen Unteren Naturschutzbehörde. Die abschließende Entscheidung über den Umfang der notwendigen Maßnahmen trifft die UWB.
Die Untere Wasserbehörde wird den angesprochenen Bereich inspizieren und im Zusammenhang mit dem Antrag 25-26568 gesondert berichten.

Abbildung 3: Verlauf des Springbachs im Bereich der Quelle
Zu 3.)
Für die Regenwasserentwässerung sind in Mascherode die folgenden Einleitstellen festgelegt.
O101 – Stöckheimstraße
O102 – Stöckheimstraße
O106 – RRB am Heinz-Wasske-Weg
O107 – RRB am Heinz-Wasske-Weg
